Hurricane Maria - Sept 2017

  • #241
If Maria remains on the current track, coastal areas could see tropical storm force winds late Tuesday night into Wednesday and parts of the Outer Banks would see coastal flooding and beach erosion. Eight to 10 foot waves would also be possible along the coast as a result of Maria.

DKcov8IW4AAb9Li.jpg


http://www.wral.com/maria-s-track-shifts-slightly-west-could-bring-direct-impacts-to-nc/16968445/
 
  • #242
  • #243
In other Hurricane news, LEE is gaining strength:

Hurricane Lee also formed. It intensified to maximum sustained winds of 90 mph. The NHC believes Lee will intensify and could be close to a major hurricane by Monday.

Lee originally developed about two weeks ago, strengthening into a tropical storm for the first time September 16th. The storm then weakened into a remnant low 2 days later. The remnants moved north and began to redevelop into an organized tropical cyclone this weekend. Lee became a hurricane again Sunday morning and could even strengthen into a Category 2 storm early this week. Fortunately, Lee is no threat to land. Lee will circle itself over the next few days before moving north and weakening late next week.

lee_8am.png


http://whnt.com/2017/09/24/hurricane-lee-develops-in-the-atlantic-while-maria-weakens/
 
  • #244
Thanks Spell- you are a good help everywhere you go. Thanks for your calming words on the Holly Bobo board. People get more passionate about legal stuff than they do weather....lol

I think it seems longer because we are paying attention for a longer time. Its been 12 years since we had a year like this one.

Sent from my VK815 using Tapatalk

thank you for the kind words, Henry. I do suppose you are right.... paying close attention every day, several times a day has made these seem like one endless loop of storms.

:waiting: and :praying: on Angel

every day I think of Angel. It may be months before she is able to post here. Makes me really sad for her and that entire area. I wonder if so might be able to send a carrier pigeon .... (or pray for her to find some little burst of an internet connection somewhere to send us a wave). :grouphug: for AA
 
  • #245
The NWS issued a Tropical Storm Watch for much of the North Carolina coast. Locations to be affected the most are Jacksonville, Richlands, and North Topsail Beach.

The watch is in effect as Maria moves past the coast Tuesday and Wednesday.

DKhOHXTUQAADfaU.jpg


http://abc11.com/weather/maria-causes-tropical-storm-watch-for-nc-coast-/2419268/

DKhLaoaWkAISPDq.jpg


Only the Outer Banks are in the cone of uncertainty, making a landfall unlikely. However, a landfall isn't needed to have significant problems along the beach.

As Maria tracks northward offshore, more clouds will begin to filter into the Triangle by the middle of the week. Any showers from Maria will stay well offshore, but surf will be rough off the beaches through next week.

The GFS wave model is showing seas at 20 to 25 feet along the outer banks. If that happens, we'll have beach erosion and coastal over-wash.
 
  • #246
Levi Cowan's Tropical Tidbit for Sunday, September 24th, 2017

[video=youtube;Chx3b6FZWnQ]https://www.youtube.com/watch?v=Chx3b6FZWnQ[/video]
 
  • #247
thank you for the kind words, Henry. I do suppose you are right.... paying close attention every day, several times a day has made these seem like one endless loop of storms.



every day I think of Angel. It may be months before she is able to post here. Makes me really sad for her and that entire area. I wonder if so might be able to send a carrier pigeon .... (or pray for her to find some little burst of an internet connection somewhere to send us a wave). :grouphug: for AA
Yes you're awesome! It's good to see your name pop up on threads.
I'm checking in waiting to hear some more news too.
I actually just bought a wrangler if I'm staying in S FL from now on. Then this weekend unpacked a semi truck with deliveries from around the country my office is collecting for victims.
 
  • #248
NHC Update 8:00 pm:

Message from Mike's Weather Page:
"Maria tonight. Losing some convection last few frames to her north possibly due to cooler waters. Still a rather low pressure at 941mb. Tracks favoring a slowing northward movement into midweek then a race NE off to sea. More models today keep it just off the coast. Impacts will be felt in coastal areas regardless as she is a wide system. Any more bumps west yet to be seen."

*www.spaghettimodels.com*/ Mikes Weather Page APP
d11945f76d0478130d9810a8fb18f283.jpg
c4dc2845f5a2409af386c6a962a7e87d.gif
727281ec1cc5807ddcdfbd169e640ccf.gif
c1c48801cee82a53a0d0725b736f199c.jpg


Sent from my VK815 using Tapatalk
 
  • #249
As Mike indicated, the models are fairly aligned...but...there is still wiggle room for how far west she will jog.

North Carolina and Virginia: Stay vigilant.

As for "a life after Maria"? YES, there is one. Everything if forecasted to swing out to sea with her, including Lee, who has to be the longest running system ever to dance in the Atlantic.

My friends, I'm hoping for a break with no canes... Let's say a prayer.

IMO

Sent from my VK815 using Tapatalk
 
  • #250
Official: Hurricane Maria set Puerto Rico back decades

http://www.chicagotribune.com/news/nationworld/ct-hurricane-maria-puerto-rico-20170924-story.html

....said Gov. Ricardo Rossello, and officials still had not had communication with nine of 78 municipalities......Mike Hyland, a spokesman for the American Public Power Association, which represents the Puerto Rican power agency, said Sunday that restoration is a long ways off. The organization is working with U.S. Energy Department crews as well as New York Power Authority workers sent down by Gov. Andrew Cuomo to fly over the island and assess damage......The opening of the island's main port in the capital allowed 11 ships to bring in 1.6 million gallons of water, 23,000 cots, dozens of generators and food. Dozens more shipments are expected in upcoming days.

The federal aid effort is racing to stem a growing humanitarian crisis in towns left without fresh water, fuel, electricity or phone service. Officials with the Federal Emergency Management Agency, which is in charge of the relief effort, said they would take satellite phones to all of Puerto Rico's towns and cities, more than half of which were cut off following Maria's devastating crossing of Puerto Rico on Wednesday.

The island's infrastructure was in sorry shape long before Maria struck. A $73 billion debt crisis has left agencies like the state power company broke. As a result the power company abandoned most basic maintenance in recent years, leaving the island subject to regular blackouts.

A federal control board overseeing Puerto Rico's finances authorized up to $1 billion in local funds to be used for hurricane response, but the governor said he would ask for more.

"We're going to request waivers and other mechanisms so Puerto Rico can respond to this crisis," Rossello said. "Puerto Rico will practically collect no taxes in the next month."




Thinking of our Angel from the moment I get up to the moment I go to sleep.


I do hope that she is merely without power and/or communication, (I know, that sounds awful saying that she is "merely" without, but I'm sure you all understand my intent) and is well and safe with her family and is busy spending time helping her community and friends. :praying:

And I hate that the temps are so high where she is at, as we heard from others here that without AC and so hot, that is not good. 90 degrees tomorrow.

Temp.JPG
visual link from weather.com
 
  • #251
thank you for the kind words, Henry. I do suppose you are right.... paying close attention every day, several times a day has made these seem like one endless loop of storms.



every day I think of Angel. It may be months before she is able to post here. Makes me really sad for her and that entire area. I wonder if so might be able to send a carrier pigeon .... (or pray for her to find some little burst of an internet connection somewhere to send us a wave). :grouphug: for AA

I've always loved your gentle heart Spell. God bless you. :loveyou:
 
  • #252
8:00 a.m. Advisory:

A tropical storm warning is in effect for the North Carolina coast from Cape Lookout to Duck as well as Albemarle and Pamlico Sounds.

A tropical storm watch is in effect from north of Duck to the North Carolina-Virginia border and from north of Surf City to Cape Lookout.

A storm surge watch is also in effect from Cape Lookout to Duck. The hurricane center said 2-4 feet of surge will be possible in those areas as Maria moves closer to the coast.

23482088-mmmain.jpg


As of the 7 a.m. CDT advisory- Hurricane Maria was located about 335 miles south-southeast of Cape Hatteras, N.C., and was moving north at 7 mph.

Maria's winds have decreased to 75 mph, making it a minimal Category 1 hurricane. Maria is expected to weaken more and become a tropical storm by Tuesday night.

The hurricane center said that Maria is a large storm, so tropical storm effects will still be possible along the coast even if it weakens.



http://www.al.com/news/index.ssf/2017/09/hurricane_maria_tracks_northwa.html
 
  • #253
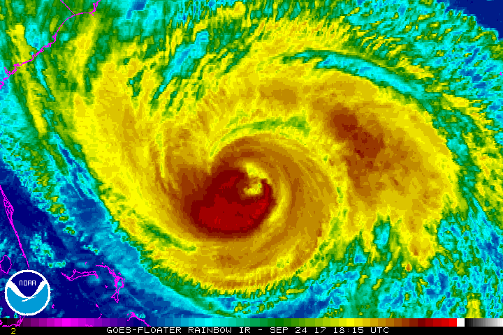
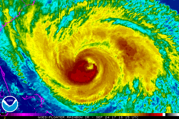
She is almost done....Maria is barely hang on to Hurricane strength winds. You see in the pic where her eye wall is open on one side. The colder water did the trick. A couple more days and she will wash out to sea carrying Lee with her. IMO

http://spaghettimodels.com
170f1e416182a6369042d70f95dc13c4.gif
8272a9c9ece345a3c1d3cb1116a1a891.jpg
3de74d740e672f9253d40f588db5f511.jpg


Sent from my VK815 using Tapatalk
 
  • #254
Officials in North Carolina have ordered visitors to evacuate Ocracoke Island ahead of Hurricane Maria. Only residents, homeowners or vendors with an Ocracoke re-entry sticker on their vehicles will be allowed on ferries inbound to Ocracoke. For those who are staying, Hyde County officials are warning that residents need to “be able to sustain yourself and your family for up to 72 hours after a storm.”

Ocean overwash could leave NC Highway 12 impassable and ferry service might not be available.

A high surf advisory continues for the entire central Florida Atlantic Coast through 10 p.m. Monday.

https://weather.com/storms/hurricane/news/hurricane-maria-path-us-preps-impacts-east-coast

DCT_SPECIAL21_1280x720.jpg


MAX_WEB_TROP_ATL15_ww1_1280x720.jpg


DCT_SPECIAL14_1280x720.jpg


MAX_WEB_TROP_ATL15_swath_1280x720.jpg


DCT_SPECIAL37_1280x720.jpg


https://weather.com/storms/hurricane/news/hurricane-maria-us-east-coast-forecast
 
  • #255
Here is a sampling of peak wind gusts that were observed in Puerto Rico and the Virgin Islands late Tuesday into Wednesday.

Western St. Croix, Virgin Islands: 137 mph (sustained winds of 106 mph)
Isla Culebrita, Puerto Rico: 137 mph
Gurabo, Puerto Rico: 120 mph (WeatherFlow station)
Camp Santiago, Puerto Rico: 118 mph
El Negro, Puerto Rico: 116 mph
Yabucoa, Puerto Rico: 116 mph (WeatherFlow station)
Arecibo, Puerto Rico: 111 mph
San Juan, Puerto Rico: 110 mph (WeatherFlow station)
Fajardo, Puerto Rico: 100 mph
San Juan (Luis Muñoz Marin Int'l Airport), Puerto Rico: 95 mph
St. Thomas, Virgin Islands: 86 mph

A storm surge of over 5 feet was recorded Wednesday by a NOAA tide gauge at Yabucoa Harbor, Puerto Rico.

Here are some other peak storm-surge values from Wednesday, above the average high-tide level:

San Juan Bay, Puerto Rico: About 2.4 feet
Fajardo, Puerto Rico: About 2.3 feet
Arecibo, Puerto Rico: About 2.2 feet
Christiansted Harbor, St. Croix, Virgin Islands: About 2 feet
Culebra, Puerto Rico: About 1.7 feet
St. John (Lameshur Bay), Virgin Islands: About 1.5 feet
At least one rain gauge near Caguas, Puerto Rico, reported more than 35 inches of rain from Maria. According to the National Weather Service office in San Juan, Puerto Rico, rain rates approached 5 to 7 inches per hour Wednesday morning.

This torrential rain prompted flash flood warnings in much of Puerto Rico and parts of the Virgin Islands.

Flash flood emergencies were issued for the Rio de la Plata Basin. River levels had risen 20 feet since midnight Tuesday night near the town of Comerio.

Over a dozen river gauges reported levels above flood stage. The Rio Grande de Manati near Ciales shattered its previous record by over 17 feet, and the Rio Gurabo at Gurabo neared its record crest set in September 1960. Other record levels have been seen, as well, including the Rio Grande de Manati near Manati (previous record was set in September 1996) and the Rio Grande de Arecibo above Arecibo (previous record was set in May 1985).

https://weather.com/storms/hurricane/news/hurricane-maria-us-east-coast-forecast
 
  • #256
Waiting and watching. As always, your updates are welcomed. Thanks Henry and Jersey Girl.
 
  • #257
Tuesday: Maria will continue moving due north, and wind speeds will gradually increase to tropical storm-force on Hatteras Island.

Tuesday night: The center of Maria will make its closest approach to Cape Hatteras, probably about 150 miles to the southeast. The National Hurricane Center expects Maria to lose hurricane strength by this time.

Wednesday: Maria will begin a turn to the northeast, but will still be close enough to make it another gusty day on Hatteras Island.

Thursday: Maria will accelerate to the east-northeast into the open ocean, and the weather will greatly improve in the Outer Banks. Rough surf and a high rip current danger will continue until the end of the week.

59c9841fde6a3.image.png


http://www.richmond.com/weather/her...cle_ab11c2e8-029c-52e2-858e-23d201646ca3.html
 
  • #258
Wednesday: Maria will begin a turn to the northeast, but will still be close enough to make it another gusty day on Hatteras Island.

I'm sorry, but this nearly made me snort. gusty? 200+mph is considered gusty? :thinking:
 
  • #259
  • #260
Maria has thankfully been downgraded to a tropical storm. The mainland U.S. has escaped a blow, although our good Puerto Rican friends will never forget Maria.

I think we can call this one a wrap.....nothing new in any forecast models for the next 7 days. IMO

http://spaghettimodels.com

P.S. I hope we hear from Angel and thinking of her. Hope she is safe and well.

Jersey, Spell, Bently, Cariis, Jax and Tarabull.....see you guys in the missing forum and back to the weather if something develops. I'm hoping for snow if we talk about weather again...hahaha
d913306882173b55157129a90399e9a7.jpg
d45cf0d5a727e2d090bb7ca9bba4cd5d.jpg
fe02711a2d17f72034f6aee13461cf1e.jpg


Sent from my VK815 using Tapatalk
 

Guardians Monthly Goal

Members online

Online statistics

Members online
147
Guests online
1,621
Total visitors
1,768

Forum statistics

Threads
635,646
Messages
18,681,135
Members
243,333
Latest member
HerLockHomes
Back
Top