Found Deceased NH - Celina Cass, 11, Stewartstown, 25 July 2011 # 2 *Arrest*

Status
Not open for further replies.
  • #221
If so, it could be the new house, or even the other residents in the house, rather than the SF, which made her reluctant to sleep in her room alone.

Without going into further personal detail, there was a creep in my apartment building who was a stalker. The LE took the evidence but said he had no priors, so nothing could be done.

In this case, we have an 11 yr. old girl, who sleeps in a basement, and there are other tenants and a boardinghouse nearby.

I want to know if she confided in any of her girlfriends, or friends she had over to the house/apartments that she was creeped out by anyone.
 
  • #222
If so, it could be the new house, or even the other residents in the house, rather than the SF, which made her reluctant to sleep in her room alone.

This is not really a safe sleeping situation for two young girls, aged 11 and 13 MOO. Their basement bedroom is far away from everyone else. There is a commercial building, with a bar and a parking lot right next door. The heat recently might have gotten them all into the habit of leaving windows open at night.Maybe even doors... All MOO
 
  • #223
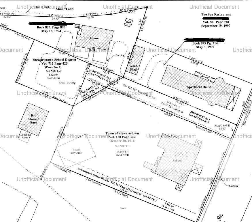
OKay, I have been pouring through the Registry of Deeds to get some information. So far, I have found a map of the property and surrounding properties.

NoyesApartmentMap-1.jpg


So basically, the victorian style house that Celina lives in with her family is considered an apartment house. I am still trying to locate more information on the actual building. There is a wood shed on the property directly to the rear.

Behind that is a small house that is owned by someone else. It also has a small shed located to in between this hosue and the apartment house.

To the north of the apartment house that Celina's family lives in is the Spa Restaurant property.

To the south of the apartment house that Celina's family lives in is a gravel drive. On the other side of the gravel drive is the school house, which is currently a rooming house, according to recent photos and a real estate listing. On that property to the rear of the school is a paved playground area and beyond that, a red storage barn with a loading ramp.
 
  • #224
Do we have anyone else last seeing her, BESIDES the Mother and SF....?
 
  • #225
Investigators have since sealed off her home with crime-scene tape, though authorities say there was no sign of a struggle inside the three-story house. They also do not believe she ran away. The girl’s family is living elsewhere as the investigation continues.

http://www.bostonherald.com/news/regional/view.bg?articleid=1354853

I don't think it's been announced one way or the other. The parents staying elsewhere could indicate signs/evidence in the house, or it could simply be precautionary to preserve the home in case they end up going back to it as the case develops, or it could be grief. As far as I know, it's not been announced.
 
  • #226
This is not really a safe sleeping situation for two young girls, aged 11 and 13 MOO. Their basement bedroom is far away from everyone else. There is a commercial building, with a bar and a parking lot right next door. The heat recently might have gotten them all into the habit of leaving windows open at night.Maybe even doors... All MOO

Can you clear this up for me? Didn't the 13 yr. old sister live with the father, not the mom and stepfather? Or am I getting that wrong? I thought in one article that the sister rushed over to the residence of Celina when she heard she was missing. And no, I don't save every single article I read.
 
  • #227
The stepfather is clearly very ill. I wonder if he would be able to have commited a crime and conceal evidence though?

I have seen people kill during a psychotic episode, however, I don't know how common is it for someone to be able to conceal evidence and not break down after they commited the crime?

Specially because normally they just admit the crime... saying that "voices" or whatever told them to do that...
 
  • #228
Without going in further personal detail, there was a creep in my apartment building who was a stalker. The LE took the evidence but said he had no priors, so nothing could be done.

In this case, we have an 11 yr. old girl, who sleeps in a basement, and there are other tenants and a boardinghouse nearby.

I want to know if she confided in any of her girlfriends, or friends she had over to the house/apartments that she was creeped out by anyone.

I agree. I really wonder if there were any offhand comments about someone being a creep, that her friends or family didn't put much stock in at the time. It could even be someone Celina didn't even pay much attention to, other than having a bad feeling about it.

Statistically, it's reasonable to look at the stepfather - but I'd hate for evidence to be overlooked because of his history of mental illness and less than prudent internet choices. It's why I'm always hesitant to assume the worst about the family, even when it looks bad - there are always Jaycee Dugard, Shawn Hornbeck, and Jessica Lunsford cases out there.
 
  • #229
It doesn't sound to me that LE is fixated on the SF, not with all of the agencies they have called in; it sounds like they are covering everything possible.
 
  • #230
I wonder what time,and if, she logged off her computer ? What was the last website she viewed ? When does the bar/restaurant next door close ? MOO
 
  • #231
Investigators have since sealed off her home with crime-scene tape, though authorities say there was no sign of a struggle inside the three-story house. They also do not believe she ran away. The girl’s family is living elsewhere as the investigation continues.

http://www.bostonherald.com/news/reg...icleid=1354853

I take media with a grain of salt - just because they say there's no evidence of a struggle, doesn't mean that's truly the case. There could be, and they haven't discovered it. Or, they could be closer to the perp than we know, and they're trying to give a false sense of security.
 
  • #232
News 9's Mike Garrity reports that there is no word from the AG on when they might be giving another update. 10:55 AM

http://livewire.wmur.com/Event/Search_Continues_For_Missing_11-Year-Old_Girl#ixzz1TWQkN4y6


While awaiting trial, a judge ruled Noyes incompetent to stand trial and ordered him to be involuntarily placed in a hospital.

Judge Richard Hampe wrote that Noyes’ mental illness creates “a potentially serious likelihood of danger to himself and others.”

A forensic examiner deemed Noyes a paranoid schizophrenic who likely developed his mental illness while in the Air Force, according to court documents.

http://www.imperfectparent.com/topi...ns-missing-step-father-has-questionable-past/


Potentially serious likelihood of danger to himself and others.
One question..Did Celina's mom know this, dear god.



Praying she is found safe. :praying:
 
  • #233
It doesn't sound to me that LE is fixated on the SF, not with all of the agencies they have called in; it sounds like they are covering everything possible.

I agree. Actually, I think LE are keeping the investigation very under wraps. I was mostly reflecting on the focus on the SF I was seeing here.
 
  • #234
How many other tenants lived in this building? What about the boardinghouse? I wonder if there were any RSOs in the building and/or boardinghouse.

I sincerely hope that the other tenants have been investigated by LE, as well as the boardinghouse residents. I don't want to stereotype, but when I heard the word "boardinghouse" I immediately got worried.
 
  • #235
It doesn't sound to me that LE is fixated on the SF, not with all of the agencies they have called in; it sounds like they are covering everything possible.

I agree, it doesn't really look like they think he harmed her... And.for sure, the FBI will know everything we know about him and a whole lot more... I wonder if her SF took medication to help him sleep at night ? If so, did he take it that night ? There is a great deal not being said here...MOO

ETA : if LE does believe that her SF harmed her would they allow her 13 year old sister to remain with him ? Especially if he harmed her due to his paranoid schizophrenia ; if he was hearing "command " type voices urging him to harm someone ? Is it known if Celina's sister is with her mother and SF ? MOO
 
  • #236
Did someone say that maybe her SF's page was not "real"? (I read it some pages back, sorry, can't remember exactly who said it)

Only asking because I just now looked at his page. He "likes" some pretty kind of soft-porn kinda pages (I don't know what else to call them), and "likes" the FDC (Facebook Dating Club) -- I had to look it up, had no idea what that acronym was. He's either a really big (and bad) flirt, or he's a d-o-g.

Either way, I'm wondering how long her mom and SF knew each other before getting married, and how they met.
 
  • #237
  • #238
I agree. I really wonder if there were any offhand comments about someone being a creep, that her friends or family didn't put much stock in at the time. It could even be someone Celina didn't even pay much attention to, other than having a bad feeling about it.

Statistically, it's reasonable to look at the stepfather - but I'd hate for evidence to be overlooked because of his history of mental illness and less than prudent internet choices. It's why I'm always hesitant to assume the worst about the family, even when it looks bad - there are always Jaycee Dugard, Shawn Hornbeck, and Jessica Lunsford cases out there.

It could be something such as someone holding a stare on her longer than usual, noises heard at night, like someone peeping into her window, etc.
 
  • #239
I really think, considering the mother's medical issues, that she was probably not strong or coordinated enough to do anything to that child. Far more than I would see the SF's medical issued being something that could keep him from being able to pull this off. It is possible that the reason that the mother has not said anything is because she is embarrassed and terrified of what all is going on. Not just her daughter's disappearance, but the TV cameras and all these strange people being around. If the area is as rural as I am thinking (having never been there) then all of these new people being around and the thought of them putting her on TV nationwide might be more than she can deal with, especially under the circumstances.

Like I said, I have never been there, but when I was volunteering with the IP, we worked a case that caused me to have to go out to a place in VA that was very rural in the mountains, about 12 years ago. I literally saw someone in the front yard of a very run down house taking a bath in one of those big round metal tubs/buckets, with the handles on the sides like you see people taking baths in in cartoons of rural areas. I couldn't believe it. I left with a new appreciation for my life. When we pulled up to each place we had to go, to ask people questions we had to be careful how we acted and how fast we were with everything because as strangers the people did not trust us and they seemed kind of scared of us. If we were too quick or too intrusive and didn't ease into things you could see them getting nervous and you had to talk them back down to where you were, or they sometimes even said that they didn't like the situation and would clam up and ask us to leave. Just a thought. Not at all saying that any of these people are like something out of Deliverance. Just that TV is intimidating for lots of people, even when they aren't in rural areas and are used to seeing TV crews in trucks on their street. When you live a life sheltered enough it might just be too scary. If she is ill, she may be extra self conscience. I'm just not reading much to the mother's lack of being on TV, yet. Like I said, I have never been there, so I don't truly know what it is like there, but I could see that being the case where I did go.
 
  • #240
Status
Not open for further replies.

Guardians Monthly Goal

Members online

Online statistics

Members online
41
Guests online
1,624
Total visitors
1,665

Forum statistics

Threads
636,257
Messages
18,693,400
Members
243,581
Latest member
littlewolfalma
Back
Top